Loading Now

Highlight

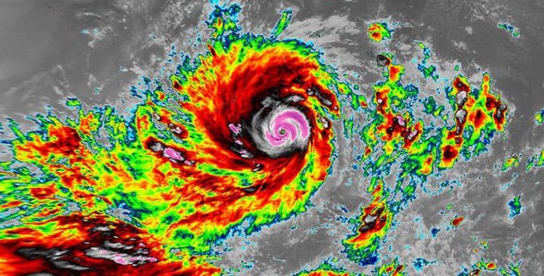
Bibit Siklon Tropis 93S terdeteksi mulai aktif di Samudra Hindia selatan Nusa Tenggara, dan berpotensi berubah menjadi badai siklon tropis dalam beberapa waktu ke depan.

Hal tersebut diungkap pakar klimatologi dari Badan Riset dan Inovasi Nasional (BRIN) Erma Yulihastin. Ia bahkan menyebut bahwa badai hasil Bibit Siklon Tropis 93S ini berpotensi menjadi ‘next Senyar’ yang menerjang Aceh, Sumatra Utara dan Sumatra Barat.

“Waspadai badai Senyar berikutnya, yang diperkirakan akan mendarat di NTT pada periode 1-10 Januari 2026,” kata Erma dalam cuitannya di X, Kamis (11/12).

Erma mengatakan hal tersebut berasal dari prediksi resolusi tinggi submusiman hingga musiman dari KAMAJAYA-BRIN, alat sistem pendukung keputusan yang dirancang khusus untuk mitigasi cuaca ekstrem dalam enam bulan ke depan.

Dalam unggahannya, Erma turut menyertakan infografis yang menunjukkan bahwa bibit badai ini dapat tumbuh cepat menjadi siklon tropis yang dapat mendarat di wilayah timur dan berpotensi membawa hujan ekstrem, angin kencang, hingga gelombang tinggi.

Puncak risiko dari bibit badai ini diperkirakan terjadi pada 11 hingga 20 Desember 2025, dan bisa berlanjut hingga awal Januari 2026 atau bertepatan dengan libur Natal dan Tahun baru.

Saat dihubungi lebih lanjut, Erma mengatakan Bibit Siklon Tropis 93S ukurannya relatif lebih kecil dan berpotensi lebih rendah menjadi siklon dibanding Bibit Siklon Tropis 91S yang berada di perairan dekat Sumatra.

Namun, sistem ini tetap dapat memengaruhi kondisi cuaca lokal, terutama di wilayah Nusa Tenggara Timur dan sekitarnya.

“Badai tropis 93S inilah yang berpeluang mendarat di wilayah NTT (Timor Leste/Kupang/wilayah sekitarnya),” kata Erma saat dihubungi CNNIndonesia.com.

Menurut dia berdasarkan hasil model prakiraan cuaca musiman yang menunjukkan adanya pola konvergensi kuat di perairan sekitar Indonesia.

Berdasarkan analisis atmosfer pada dasarian II Desember 2025 hingga dasarian I Januari 2026, dua wilayah tercatat mengalami pembentukan pola pusaran yang signifikan.
Perairan barat, termasuk Samudera Hindia dan laut selatan Indonesia, menunjukkan konvergensi kuat di laut namun tidak berdampak langsung ke daratan.

Sebaliknya, perairan timur terutama Laut Flores, wilayah NTT, Kupang, dan Timor Leste memiliki potensi lebih tinggi untuk terjadi badai yang dapat berkembang menjadi tropical storm atau bahkan siklon yang berbahaya.

“Jadi hasil diskusinya mengindikasikan ada potensi tersebut, sehingga mengimbau pemda dan jajaran terkait di NTT agar melakukan upaya-upaya mitigasi dari sekarang,” ungkap Erma.

Prediksi BMKG
Sementara itu, analisis Badan Meteorologi, Klimatologi, dan Geofisika (BMKG) menunjukkan bahwa Bibit Siklon Tropis 93S saat ini terdeteksi aktif di selatan NTB.

Meski sistem ini diprakirakan bergerak menjauhi wilayah Indonesia, BMKG mengingatkan potensi dampak tidak langsung berupa potensi hujan dengan intensitas sedang-lebat di beberapa wilayah dalam beberapa hari ke depan.

Kepala BMKG Teuku Faisal Fathani mengatakan dampak tidak langsung 93S mengakibatkan beberapa wilayah, seperti Bali, NTB, dan NTT berpotensi diguyur hujan dengan intensitas sedang hingga lebat. Selain itu, gelombang tinggi kategori sedang (1,25 meter-2,5 meter) berpotensi terjadi di Samudra Hindia selatan Jawa Timur hingga NTT, perairan selatan Jawa Timur, serta Selat Bali-Lombok-Alas bagian selatan.

“Potensi dampak tidak langsung berupa hujan sedang hingga lebat dan gelombang tinggi di perairan harus tetap kita waspadai,” ujar Faisal dalam keterangan resminya.

Merujuk hasil analisis BMKG, kecepatan angin maksimum di sekitar sistem saat ini mencapai 15 knot atau 28 km/jam dengan tekanan minimum 1009 hPa. Menurut BMKG awan konvektif di sekitar 93S belum terorganisir dengan baik, sehingga proses penguatan sistem diprakirakan berlangsung lambat dalam 24 jam ke depan.

Deputi Bidang Meteorologi BMKG Guswanto menjelaskan dalam 24 jam ke depan, intensitas 93S cenderung persisten dengan pergerakan perlahan ke arah barat daya menjauhi wilayah Indonesia.

Sementara itu, dalam 48 hingga 72 jam ke depan, sistem ini diprakirakan mulai meningkatkan intensitasnya secara bertahap seiring membaiknya pola sirkulasi dengan pergerakan yang konsistem menjauhi wilayah Indonesia.

“Berdasarkan analisis kami, sistem ini bergerak perlahan menjauhi wilayah Indonesia dan diprakirakan tidak akan berdampak langsung ke daratan,” ujar Guswanto.

Sebelumnya, 93S mulai terbentuk pada 11 Desember 2025 dengan pusat sirkulasi di sekitar 12.0°LS – 117.0°BT dan masuk ke dalam dalam Area of Monitoring (AoM) Tropical Cyclone Warning Centre (TCWC) Jakarta.

Post Comment

HOT NEWS